
El huracán Melissa, el ciclón tropical más intenso de la temporada atlántica 2025, avanza implacable por el Mar Caribe. Hasta el momento, se registran nueve personas fallecidas como consecuencia de sus efectos.
Luego de impactar a Jamaica, Melissa tocó tierra en la costa oriental de Cuba en las primeras horas de este miércoles 29 de octubre como un huracán categoría 3, con vientos sostenidos superiores a los 200 kilómetros por hora y lluvias torrenciales. Las autoridades de la mayor de las Antillas mantienen un monitoreo constante sobre la trayectoria y posibles impactos en las próximas horas.
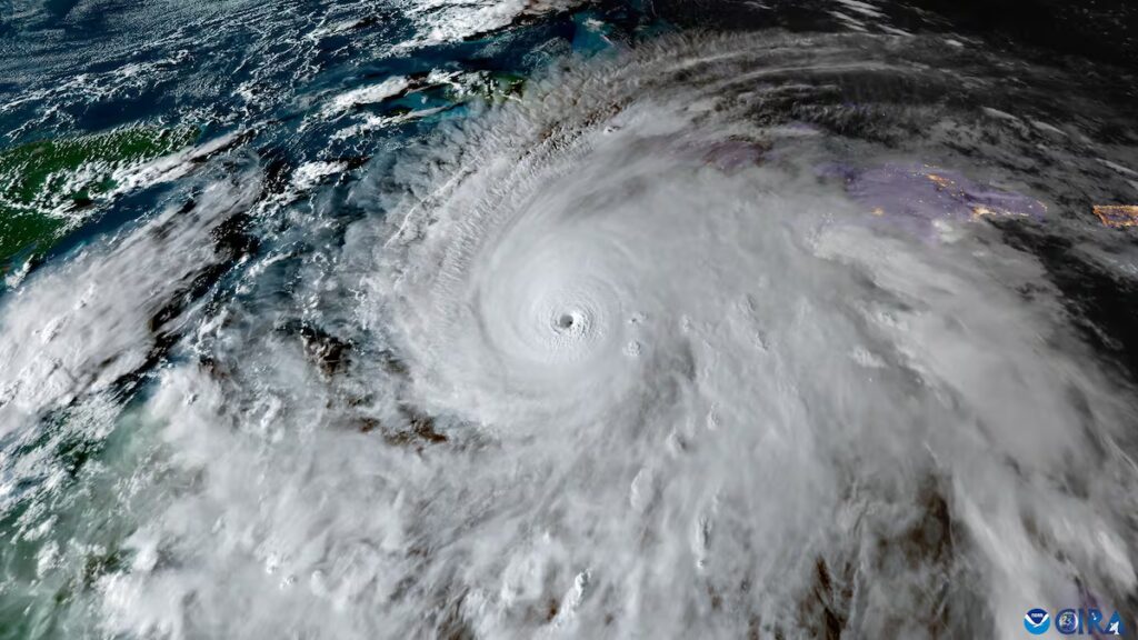
Melissa tocó tierra en horas del mediodía del martes 28 de octubre como un poderoso ciclón de categoría 5 en la escala Saffir-Simpson (de un máximo de 5) en el suroeste de Jamaica, cerca de la localidad de New Hope, según informó el Centro Nacional de Huracanes (NHC, por sus siglas en inglés) de EE.UU.
Durante la tarde el huracán abandonó territorio jamaiquino y continuó su rumbo hacia el oriente cubano, experimentando un descenso en sus vientos, que pasaron de 295 kilómetros por hora a 230 kilómetros por hora. Aunque horas después recuperó fuerzas y regresó a la categoría 4 en las escala Saffir-Simpson (de un máximo de 5). A las 02:00 hora local de Cuba el ciclón regresó a la categoría 3.
Hasta el momento, se registran nueve personas fallecidas a causa de los vientos y lluvias asociados a Melissa en su paso por el Caribe: tres de ellos en Jamaica, otros tres en Haití, dos en Panamá y uno en República Dominicana.
Minuto a minuto:
08:22 – Díaz-Canel confirma que huracán Melissa causa estragos a su paso por Cuba
El presidente de Cuba, Miguel Díaz-Canel, informó que el huracán Melissa causó estragos durante sus primeras horas en la isla, y aseguró que el país está listo para empezar a recuperarse cuando las condiciones lo permitan.
«Ha sido una madrugada muy compleja. Daños cuantiosos, y aún el huracán Melissa sigue sobre territorio cubano. Pido a nuestro pueblo no confiarse, mantener la disciplina y continuar a buen resguardado. En cuanto las condiciones lo permitan vamos a la recuperación. Estamos listos», escribió Díaz Canel en la red social X.
07:48 – Melissa azota con fuerza la ciudad costera de Banes
Periodista de la ciudad de Banes, Holguín, informa del fuerte azote de los vientes en la ciudad del extremo septentrional de Cuba y frontera con Mayarí donde se trasladaba el ojo del huracán horas atrás. Las costas de Banes son bañadas por el mar Atlántico, por lo cual será la última ciudad donde se dará paso Melissa antes de dejar la isla de Cuba.
07:35 – Fuertes vientos afectan Mayarí
Usuarios en redes sociales comparten imágenes del fuerte impacto del huracán Melissa en la ciudad de Mayarí, ciudad situada en la zona sudoriental de Cuba, en el centroeste de la provincia de Holguín.
06:05 – Huracán Melissa impacta el oriente de Cuba con vientos de 185 km/h
El huracán Melissa, categoría 3 en la escala Saffir-Simpson, atraviesa esta madrugada el oriente de Cuba con vientos máximos sostenidos de 185 km/h. Según el Instituto de Meteorología de Cuba (INSMET), el ojo del ciclón se ubicó sobre la ciudad de Contramaestre (provincia de Santiago de Cuba) entre las 4:40 a. m. y las 5:15 a. m., donde se reportó una calma temporal de 35 minutos.
A las 6:00 a. m., el centro de Melissa se localizó a 20 km al sur de San Germán (Holguín), avanzando hacia el nordeste a 19 km/h. Aunque su interacción con tierra ha debilitado ligeramente el sistema, el huracán mantiene una presión central de 960 hectoPascal y genera lluvias intensas. La estación meteorológica de Contramaestre registró 124 mm de precipitaciones en tres horas, con acumulados esperados de 200 a 450 mm.
Se prevé que Melissa continúe su trayectoria sobre Holguín y salga al mar por el municipio de Banes en la mañana, seguido de un debilitamiento progresivo. Las autoridades cubanas mantienen alerta en las provincias orientales ante inundaciones, fuertes vientos y posibles daños.
03:30 – El ojo del huracán Melissa toca tierra en la costa oriental de Cuba
El huracán Melissa tocó tierra en el oriente de Cuba. Lo hizo como categoría 3 en la escala Saffir-Simpson impactando con vientos sostenidos de hasta 205 km/h (125 mph) y ráfagas superiores. La pared del ojo de Melissa tocó tierra por el municipio Guamá, en Santiago de Cuba, específicamente en playa El Francés.
Miércoles 29 de octubre
______________________________________________________________________________________________________________
23:40 – Melissa volvió a ganar fuerza y alcanza de nuevo categoría 4
El Centro Nacional de Huracanes (CNH) de Estados Unidos informó que los vientos máximos sostenidos del ciclón alcanzan los 215 kilómetros por hora, con ráfagas más intensas, lo que mantiene a Melissa como un huracán de categoría 4 en la escala Saffir-Simpson. Se espera que continúe siendo un huracán de gran intensidad mientras atraviesa Cuba, las Bahamas y las cercanías de Bermudas.
22:20 – Melissa comienza a anunciarse en Santiago de Cuba
Autoridades meteorológicas informan que en Santiago de Cuba se reportan ya unos 90 milímetros de lluvias, en Chivirico, por donde se prevé que toque tierra alrededor de las 2 de la madrugada.
También en esa zona se reportan leves penetraciones del mar, y en Matías, al norte de Chivirico, hubo ya crecida del río. En la comunidad del Cobre re reporta también una crecida del río que sobrepasa los tres metros, algo que no recuerdan antes los habitantes de la zona.
En la ciudad cabecera se reportan inundaciones en varias zonas como en Los Coquitos, La Alameda, San Pedrito, Ferreiro.
Brigadas de rescate y salvamento se mueven por las zonas más complejas en función de proteger la vida de las personas.
21:50 – Presidente de Cuba reporta 735 mil evacuados
El presidente de Cuba y el Consejo de Defensa Nacional (CDN), Miguel Díaz-Canel, precisó durante la noche de este martes que ya suman 735.000 las personas evacuadas ante la proximidad del huracán Melissa.
En un mensaje emitido a través de redes sociale, el mandatario expresó: «Será una noche muy difícil para toda Cuba, pero nos vamos a recuperar, siempre con la fe en la victoria que nos inculcaron Fidel y Raúl».
21:10 – Intensas lluvias en el oriente de Cuba
El corresponsal de teleSUR, Yordanis Rodríguez, reportó que las fuertes precipitaciones ya afectan varios municipios del oriente de Cuba, mientras se aproxima el Huracán Melissa.
El Instituto de Meteorología de Cuba (Insmet) señaló que el ciclón se aproximará a la costa sur de las provincias de Granma y Santiago de Cuba esta noche, ingresando a territorio cubano por el municipio de Guamá, perteneciente a la provincia de Santiago de Cuba en la madrugada del miércoles.
20:30 – Huracán Melissa baja a categoría 3
El Centro Nacional de Huracanes (NHC) informó este martes que el huracán Melissa descendió a categoría tres en la escala Saffir-Simpson, con vientos máximos sostenidos de 205 kilómetros por hora, en su aproximación a la costa oriental de Cuba.
A pesar de la disminución en su intensidad, el NHC advirtió que Melissa se mantiene como un huracán mayor. Su ojo se localiza a 260 kilómetros al suroeste de Guantánamo, afectando ya a la región con fuertes lluvias y vientos.
El sistema se desplaza hacia el noreste a 13 kilómetros por hora y se pronostica que su núcleo toque tierra cubana durante la madrugada del miércoles en las cercanías de Santiago de Cuba, la segunda ciudad más poblada del país.
Tras su paso por la isla, el NHC proyecta que el huracán se mueva hacia el sureste o el centro de las Bahamas durante el miércoles, para luego aproximarse a las islas Bermudas el próximo jueves.

18:50 – Primer ministro de Jamaica declara al país como «zona de desastre»
El primer ministro de Jamaica, Andrew Holness, declaró este martes al país como «zona de desdastre» tras el impacto del huracán Melissa, que tocó tierra como categoría 5 y ha dejado tres víctimas mortales, además de daños preliminares significativos en la infraestructura.
Las autoridades jamaicanas informaron en un balance preliminar que el fenómeno meteorológico, el cual disminuyó a categoría 4 horas después de su llegada, provocó afectaciones en al menos seis hospitales, además de inundaciones en carreteras y la caída de postes eléctricos y árboles.
Medios locales y material audiovisual difundido en redes sociales evidencian el impacto de las fuertes ráfagas de viento, principalmente en Kingston, la capital, y en otros municipios del sur de la isla, donde el tendido eléctrico colapsó y numerosas viviendas perdieron sus techos.
18:07 – Estiman 1,5 millones de personas afectadas directamente en Jamaica
La Cruz Roja Internacional advirtió este martes que al menos 1,5 millones de personas sufrirán los impactos directos del huracán Melissa en Jamaica.
Por su parte, La especialista de la Organización Meteorológica Mundial (OMM), Anne-Claire Fontan, calificó la situación como «catastrófica», alertando sobre marejadas, inundaciones y deslizamientos de tierra.
«Para Jamaica, será sin duda la tormenta del siglo», aseveró la experta en un comunicado.
17:15 – Presidente de Cuba llama a actuar con responsabilidad
El presidente de Cuba y el Consejo de Defensa Nacional (CDN), Miguel Díaz-Canel, hizo un llamado al pueblo cubano a actuar con responsabilidad para evitar pérdidas de vidas humanas ante el inminente impacto del huracán Melissa.
En un mensaje transmitido por la televisión cubana, el mandatario expresó: «Pedimos una vez más a toda nuestra población que se ubique en zonas seguras para enfrentar este huracán. Además de las medidas que se han tomado, depende de la responsabilidad con que actuemos.»
En este sentido, llamó a aprovechar las horas restantes en la región suroriental del país para completar todas las medidas de protección. Al mismo tiempo, señaló que los Consejos de Defensa, desde el nivel nacional hasta las zonas más locales, han trabajado de forma intensa, oportuna y coordinada.
17:10 – Huracán Melissa a 325 kilómetros de Guantánamo, Cuba
El Centro Nacional de Huracanes (NHC, en inglés) informó que los vientos se habían reducido hasta los 230 kilómetros por hora (145 millas). Asimismo, detallaron que el centro del huracán Melissa se ubica a 20 kilómetros al este de la Bahía de Montego y 325 kilómetros al sur de Guantánamo, en Cuba.
Según los distintos reportes meteorológicos, Melissa es ahora un poderoso huracán de categoría 4, con una velocidad de traslación de 13 km/h.
16:26 – Centro de Melissa casi abandona Jamaica
El centro de Melissa casi abandona Jamaica y avanza rumbo al oriente cubano. La tormenta Atravesó la isla por su porción más estrecha y los vientos disminuyeron de 295 a 260 km/h, por lo que sigue siendo un categoría 5 muy poderoso, informó el periodista cubano Lázaro Manuel Alonso.
Una vez en el mar, se espera que los vientos aumenten nuevamente la velocidad antes de llegar a territorio cubano. Los pronósticos especializados anticipan que Melissa entraría en un punto entre las provincias de Granma y Santiago de Cuba.
A la vez, advierten que progresivamente se incrementarán las lluvias, vientos y marejadas desde Camagüey hasta Guantánamo.
14:03 – Lista de los principales huracanes que atravezaron suelo cubano
Huracán de Cuba (o huracán Diez de la temporada del Atlántico), 1924. Se estima que fue un categoría 5, según una evaluación posterior de datos. Dejó unos 90 fallecidos y dos pequeños pueblos casi totalmente destruidos en el extremo más occidental del país.
Huracán de Santa Cruz del Sur, 1932. Considerada la mayor catástrofe natural de Cuba, se estima que alcanzó las categorías 4 o 5. Provocó una gran marejada ciclónica que inundó la ciudad de Santa Cruz del Sur (sureste), dejando unas 3.000 víctimas mortales.
Flora, 1963. Pasó más de 100 horas en el oriente del territorio cubano, desplazándose de forma errática, dibujando un «lazo», y dejando una estela de destrucción a su paso. Provocó inundaciones masivas y unas 1.750 muertes.
Kate, 1985. Con categoría 2, este ciclón perjudicó a siete provincias en el occidente y centro del país, afectando principalmente a la agricultura y las viviendas.
Georges, 1998. Este huracán de categoría 2 provocó inundaciones costeras y fluviales severas en el oriente cubano, además de daños en viviendas e infraestructura básica.
Michelle, 2001. Con categoría 4, dejó 5 muertos y cuantiosos daños en viviendas, la red de telecomunicaciones, la agricultura y el turismo, principalmente en el centro y el occidente de Cuba.
Charley, 2004. Hasta 35 víctimas mortales, según algunas fuentes, y graves daños en más de 40.000 viviendas dejó el paso de este huracán de categoría 3 por el oeste de Cuba, incluida La Habana.
Dennis, 2005. Un total de 16 fallecidos provocó este categoría 4 al cruzar de sur a norte el este y centro de Cuba. Los daños materiales superaron los 1.000 millones de dólares.
Gustav, 2008. El extremo occidental de Cuba se vio arrasado por los fuertes vientos de este huracán, que alcanzó la categoría 5 sobre la isla. Se registraron daños en más de 500.000 viviendas.
Ike, 2008. Prácticamente toda la isla se vio afectada por este devastador categoría 4 que provocó cuantiosos y generalizados daños en viviendas, cultivos e infraestructuras. Se contabilizaron 7 víctimas mortales.
Sandy, 2012. La provincia de Santiago de Cuba fue la más afectada por este categoría 3, que dejó 11 fallecidos y severos desperfectos en viviendas y el patrimonio histórico de la segunda mayor ciudad del país.
Irma, 2017. Un total de 10 muertos dejó este categoría 5 que barrió el país entero por su costa norte. Se contabilizaron además daños de más de 13.000 millones de dólares por las extensas inundaciones, incluida La Habana.
Ian, 2022. Este categoría 3 dejó daños catastróficos, especialmente en la agricultura (principalmente el tabaco) del occidente del país y provocó el primer apagón nacional, evidenciando los problemas que arrastraba el Sistema Eléctrico Nacional (SEN).
Óscar, 2024. Un total de 8 fallecidos dejó este categoría 1 en el oriente de Cuba, que provocó inundaciones y daños en viviendas, cultivos e infraestructura vial.
Rafael, 2024. El occidente cubano sufrió cuantiosos daños materiales por el paso de este huracán de categoría 3, que ocasionó además otro apagón nacional.
12:42 – Melissa ya está en suelo jamaiquino y gana en intensidad
El huracán Melissa ha intensificado su poder de manera alarmante, registrando vientos máximos sostenidos de 295 kilómetros por hora. Al mediodía de este martes, su centro penetró por la costa sur de Jamaica, ubicándose a unos 50 kilómetros al sur de Montego Bay, y se desplaza hacia el norte-nordeste a 15 km/h, aproximándose de manera inminente a la región oriental de Cuba, a la que se prevé que afecte durante la tarde-noche de hoy.
Ante la proximidad del fenómeno, se espera que las bandas externas del huracán generen lluvias fuertes e intensas en las provincias orientales cubanas, con acumulados que podrían alcanzar hasta 450 milímetros, especialmente en zonas montañosas.
Asimismo, se pronostica un incremento progresivo del viento con fuerza de tormenta tropical y una peligrosa marejada con olas de 4 a 6 metros en el litoral sur de Granma, Santiago de Cuba y Guantánamo, lo que provocará inundaciones costeras de moderadas a fuertes. El Centro de Pronósticos del Instituto de Meteorología de Cuba mantiene una estrecha vigilancia sobre este sistema.

12:18 – China hace llegar los primeros kits se ayuda a Cuba
El embajador de China en Cuba, Hua Xin, compartió en su cuenta en X (Twitter), que los kits de familia donados por su país se envían ahora desde La Habana para apoyar a las provincias orientales en la respuesta al huracán Melissa.
11:49 – Centro Nacional de Huracanes a los jamaiquinos: “Última oportunidad para proteger sus vidas”
El Centro Nacional de Huracanes de Estados Unidos advirtió el martes que esta es la “última oportunidad” para que los jamaiquinos protejan sus vidas mientras la isla se prepara para los “vientos catastróficos” del huracán Melissa.
El organismo advirtió que no buscar refugio podría resultar en lesiones graves y muerte. “Para protegerse del viento, lo mejor que puede hacer es poner tantas paredes como sea posible entre usted y el exterior.
11:41 – EE.UU. reubica sus activos militares en el Caribe ante la llegada del huracán Melissa
El Comando Sur de Estados Unidos confirmó este martes que ha reubicado buques y aviones de guerra en el Caribe para protegerlos del inminente impacto del huracán Melissa. Entre los activos desplazados se incluyen siete buques de la Armada y cazas furtivos F-35 que participan en operaciones antinarcóticos en la región.
11:28 – Autoridades cubanas supervisan medidas de protección ante huracán Melissa en Holguín
El presidente del Consejo de Defensa Provincial de Holguín, Joel Queipo Ruiz, recorrió este martes los municipios de Báguanos y Banes para constatar la ejecución de las medidas de protección ante el inminente paso del huracán Melissa. Durante la inspección, verificó las condiciones de los centros de evacuación y mantuvo diálogo con los pobladores ya albergados.
La supervisión abarcó el chequeo del nivel de los embalses, el estado de las gestantes y la ubicación de personas que requieren atención médica especializada. Hasta el cierre del recorrido se reportaba que más de 79 mil personas (equivalentes a más de 21 mil familias) se encontraban albergadas en centros de evacuación y casas de familia, sin lluvias significativas en la zona. Las autoridades enfatizaron que la preservación de vidas humanas antes, durante y después del huracán constituye la tarea de primer orden.
10:58 – ONU despliega ayuda anticipatoria en Cuba
El Sistema de Naciones Unidas en Cuba despliega ayuda anticipatoria en las provincias orientales con mayor riesgo de ser afectadas por el huracán Melissa. La asistencia, coordinada con las autoridades cubanas y respaldada financieramente por el Fondo Central de Emergencia de la ONU, incluye el posicionamiento de 697 toneladas de alimentos por parte del Programa Mundial de Alimentos y la distribución de 1,300 kits de higiene por UNICEF, que beneficiarán a 6,500 personas.
Entre los recursos técnicos y de protección movilizados se encuentran dos plantas portátiles de tratamiento de agua, siete generadores eléctricos, 259 kits de herramientas para reparación de cubiertas, 2,000 colchones y 4,000 lonas. El Programa de las Naciones Unidas para el Desarrollo también mantiene recursos preposicionados en la región oriental para una respuesta temprana, con el objetivo prioritario de salvaguardar la vida de las personas y apoyar a las comunidades potencialmente afectadas.
10:37 – 1,5 millones de jamaiquinos, en riesgo
Al menos 1,5 millones de personas podrían verse afectadas por el huracán Melissa en Jamaica, advirtió este martes en Ginebra Necephor Mghendi, jefe de la delegación de la Federación Internacional de Sociedades de la Cruz Roja y de la Media Luna Roja (FICR) para el Caribe.1,5 millones de jamaiquinos, en riesgo
10:25 – Melissa ya acumula un total de ocho muertos en el Caribe
Melissa ha provocado un total de ocho muertos en el Caribe: tres en Jamaica, cuatro en Haití y uno en la República Dominicana.
Melissa continúa ganando en intensidad y hora sus vientos máximos sostenidos son de 295 km/h y su presión central descendió a 892 hPa, es hasta el momento es el tercer huracán más intenso registrado en el Atlántico, mar Caribe y golfo de México, por detrás de Wilma en el 2005 y Gilbert en 1988.
9:52 – Melissa próxima a tocar tierra en la costa sur occidental de Jamaica
Melissa está próximo a tocar tierra en la costa sur occidental de Jamaica, con vientos máximos sostenidos de 290 km/h, medido por un avión de reconocimiento.
09:11 – Lluvias se mantendrán en República Domincana
Lluvias continuarán este martes desde horas matutinas, se mantienen en alerta 17 provincias y el Distrito Nacional Indomet mantiene alerta amarilla en Peravia, Azua y otras provincias, mientras que en verde en Elías Piña y más. Las temperaturas máximas oscilarán entre 25 y 27 grados centígrados.
08:35 – Huracán Melissa cobra vidas en Jamaica antes de su llegada
Tres personas perdieron su vida en Jamaica como consecuencia de las perturbaciones climáticas que genera el huracán Melissa, pese a que aún su centro no ha llegado a la isla, según informó el ministro de Salud, Christopher Tufton.
Los fallecimientos ocurrieron durante labores de tala preventiva de árboles, realizadas como parte de los preparativos ante la inminente llegada del fenómeno meteorológico.
“Es muy triste anunciar que, aunque el huracán aún no ha llegado, hemos tenido tres muertes relacionadas con los preparativos para la tormenta. Una en Hannover, otra en Saint Catherine y la otra en Saint Elizabeth”, declaró Tufton en una conferencia de prensa realizada pocas horas después de los incidentes.
Autor: teleSUR – NH
Fuente: Agencias
Publicado por: Nicolas Hernandez
Fuente de esta noticia: https://www.telesurtv.net/minuto-a-minuto-huracan-melissa-azota-caribe/
También estamos en Telegram como @prensamercosur, únete aquí: https://t.me/prensamercosur Mercosur
Recibe información al instante en tu celular. Únete al Canal del Diario Prensa Mercosur en WhatsApp a través del siguiente link: https://www.whatsapp.com/channel/0029VaNRx00ATRSnVrqEHu1W
